MENÜ
İstanbul 16/20
Airkule
PAYLAŞ 
Facebook'ta Paylaş
Facebook'ta Paylaş
Facebook'ta Paylaş
Facebook'ta Paylaş
Facebook'ta Paylaş
THY SEFERİNE HARVEY ENGELİ
Havacılık Haberleri
26 Ağustos 2017 Cumartesi 13:12

THY SEFERİNE HARVEY ENGELİ

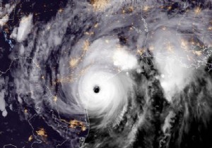
Türk Hava Yolları’nın İstanbul-Houston uçuşu Harvey Tropik Fırtınası nedeniyle iptal oldu

Türk Hava Yolları, Houston seferinin iptal edildiğini resmi web sitesi ve sosyal medya hesaplarından yolculara duyurdu. Duyuruda, “26.08.2017 tarihinde icra edilecek olan TK33 IST/IAH ve TK34 IAH/IST seferleri Amerika’da yaşanmakta olan Harvey Tropik Fırtına nedeni ile iptal edilmiştir.” denildi.

Teksas kıyılarına ulaşan Harvey kasırgası nedeniyle ABD Başkanı Donald Trump, kasırganın vereceği zarara karşı bölgeye federal yardım yapılması için "doğal afet bildirisi" imzaladı. Texas yerel basını kasırganın karaya inmesinin ardından yaralılar olduğunu duyurdu.

ABD'de ana karaya ulaşan Harvey kasırgası, Teksas eyaletinin kıyı bölgelerinde etkili olmaya başladı. ABD Ulusal Kasırga Merkezi, ülkeyi yaklaşık 12 yıldır vuran en şiddetli fırtına olarak nitelenen Harvey ile ilgili alarm durumunu, yaklaşık 55 saat içinde "birinci kategori"den "dördüncü kategori"ye çıkarttı.

  Haberin Videosu

Yorum Ekle
Yorumunuz gönderildi
Yorumunuz editör incelemesinden sonra yayınlanacaktır
Yorumlar

   Bu haber henüz yorumlanmamış...

Benzer Haberler
Sayfa başına gitSayfa başına git
Masaüstü Görünümü  ♦   İletişim  ♦   Künye
Copyright © 2025 Airkule